Freotopia > buildings >
See also: Fremantle Pensioner Barracks, Perth Pensioner Barracks, Perth military barracks.
See also: Enrolled Pensioner Guards.

In Fremantle there was only one building called The Barracks - the Pensioner Barracks. However, there were other buildings in the area of the Convict Establishment that housed related quasi-military organisations - and also many other such buildings in Perth and in the state.

The eastern side of the Pensioner Barracks in South Terrace, cropped from a larger photograph. The building to the right is the Infants and Girls School (1878). The Scots Church (1897) has not yet been built - as the date of the photograph is 1889. Barracks Square in the bottom of the photo will later become Fremantle Oval (more photos of the barracks on that page).

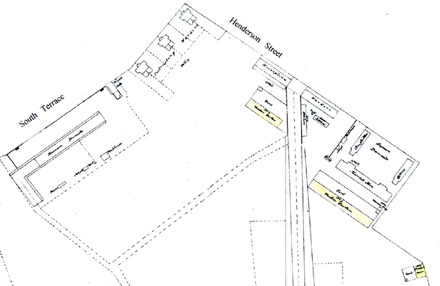
Campbell: This Wray/Manning 1857 plan shows 'buildings erected and in progress also new buildings provided for in Annual Estimate 1857-58 coloured yellow.' Campbell 2017: 65 (part). North is more or less to the right, not the top of the drawing.
The Barracks (on the left in the map above) housed the Enrolled Pensioner Force. The building was in South Terrace from 1853 until some time in the 1950s, and was built to house the ex-soldiers who were assigned to guard the convicts on ships when transportation started in 1850. It 'was a two-storey terrace of thirty-two units each of two rooms, with communal facilities - cook-house, wash-house, and "the necessaries" - out in the back yard'. (Campbell 2017: 13)
Campbell: The pensioners barracks served on as an old men's home, an immigrants hostel, and then a military hospital [the Base Hospital] through the first world war years of 1914-1918. ... The building has gone, but the retaining wall to South Terrace remains in front of a 1970s elderly peoples’ centre. (Campbell 2017: 18; the last sentence refers to the Stan Reilly Centre, demolished in 2018 to make way for what is a carpark in 2021, but is soon to be a new police station.)

The Base Hospital, South Terrace

A page from John Dowson's 2005 privately published booklet, Fremantle: The Future is in the Past: Appreciating the Synagogue Site and its Surrounds.

Part of another page from John Dowson's Fremantle: The Future is in the Past
Sappers and Miners (later Royal Engineers) also had barracks in the same general area, on Henderson St (mainly) and also on South Terrace - where there were three pairs of single-storey cottages for the families of 'instructing warders' (sappers who instructed and supervised the work of convicts).
And there was also housing for the 'discipline warders' in the form of the Warders Cottages, most of which still exist in Henderson St. There was another building on the western side of the street, where there is now a multi-storey carpark.
Campbell, Robin McKellar 2010, Building the Fremantle Convict Establishment, PhD dissertation, UWA (Faculty of Architecture). Available online to download (not from this site) as a 40MB PDF.
Campbell, R.McK. 2017, Henderson & Coy, privately published in association with the Faculty of Architecture, UWA. Book based on the dissertation above. Top image from that.
Dowson, John 2005, Fremantle: The Future is in the Past: Appreciating the Synagogue Site and its Surrounds, privately published.
Royal Engineers (Sapper and Miners).
Garry Gillard | New: 19 July, 2017 | Now: 18 March, 2024